海关截获全球新物种!
近日,海关关员在进境原木中
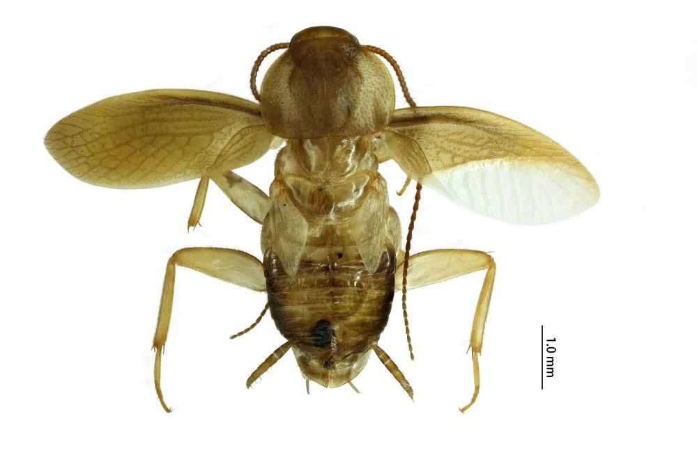
截获拉丁蠊属蜚蠊种
经鉴定研究
这是一种全球首次报道的新物种
具有极强的适应力和繁殖力
海关截获异乡“蟑螂”
具有极强适应力繁殖力
拱北海关所属中山港海关
在对一批从法属圭亚那进口的原木
进行联合检疫时
截获了一头蜚蠊
现场海关关员迅速取样送实验室鉴定
并对同批次货物实施检疫处理
经进一步研究后
确认该蜚蠊是未被描述过的
拉丁蠊属蜚蠊物种
是一种全球首次报道的新物种

蜚蠊俗称蟑螂
具有极强的适应力和繁殖力
作为外来物种
很容易在入侵地定殖
还可能携带未知病原体传播疾病
是海关口岸监测的重要病媒生物之一

近3年,中山港海关在辖区口岸
已截获1种全球首次报道的蜚蠊种
和另外5种次国内未见分布的蜚蠊
客车司机携带“异宠”
入境被查获
如果蜚蠊是无意间在原木中携带
有的外来物种却是被故意携带进境的
不久前,澳门司机许某
经港珠澳大桥珠海公路口岸
客车通道进境
海关关员在巡查时发现
许某裤子口袋部位异常隆起
在海关关员进一步询问下
许某才将裤子口袋中
三个塑料盒拿出来
里面各装有一只活体蜥蜴

经拱北海关技术中心鉴定
其中两只为睫角守宫
一只为魔物守宫
均是原产于南太平洋岛屿的物种
是近年来颇受爬宠爱好者
青睐的“异宠”
全力“封堵”外来入侵物种
多部门联合管控
据海关工作人员介绍
“除犬、猫以外的所有活动物
未经我国行政主管部门审批许可
禁止携带、寄递进境”
近年来,甲虫、蜥蜴、蛇等“异宠”
受到不少人青睐
携带外来物种进境的案例时有发生
目前我国已发现660多种外来入侵物种
对农林业生产、粮食、
生物和生态的安全
造成了严重威胁

为了全力“封堵”外来物种入侵
多部门联合发布
《外来入侵物种管理办法》
明确了不得擅自引进、释放
或丢弃外来物种
保护生态安全
就是保护人类自己
防范外来物种入侵
是我们每个人的责任!

